Retour
Menu utilisateur
Menu

Photos et idées Terrain

Trouvez des idées en parcourant les photos des autres !
Ordre d'affichage :
En bleu, le tuyau d'eau
1
En bleu, le tuyau d'eau
Notre terrain
1
Notre terrain
DEBUT DES TRAVAUX
DEBUT DES TRAVAUX
DEBUT DES TRAVAUX
DEBUT DES TRAVAUX
Vue du lotissement depuis la route en contrebas
 
Vue du lotissement depuis la route en contrebas
DEBUT DES TRAVAUX
DEBUT DES TRAVAUX
Raccordement d'eau en cours
Raccordement d'eau en cours
On y voit déjà plus clair
1
On y voit déjà plus clair
Devant notre parcelle vers le sud, on aperçoit que notre voisin est déjà bien installé
 
Devant notre parcelle vers le sud, on aperçoit que notre voisin ...
Ca y est voici le panneau de notre permis de construire, il aura quand meme fallu attendre 5mois...
Ca y est voici le panneau de notre permis de construire, il aura quand ...
Implantation de la maison
Implantation de la maison
DEBUT DES TRAVAUX
DEBUT DES TRAVAUX
Le chemin en bout de parcelle, idéal pour prévoir un accès derrières les différentes parcelles
 
Le chemin en bout de parcelle, idéal pour prévoir un ...
DEBUT DES TRAVAUX
DEBUT DES TRAVAUX
Tas de branchages à brûler
1
Tas de branchages à brûler
Implantation de la maison
Implantation de la maison
Chemin d'accès propre.
1
Chemin d'accès propre.
Implantation de la maison
Implantation de la maison
La haie sauvage a été arrachée :-)
1
La haie sauvage a été arrachée :-)
Vue à l'est de la parcelle
 
Vue à l'est de la parcelle
Terrain vu de devant
Terrain vu de devant
Arrachage des souches et décapage du chemin d'accès.
1
Arrachage des souches et décapage du chemin d'accès.
Vue sur le lotissement
 
Vue sur le lotissement
Trou dans mur neuf suite chute de souche d'érable
1
Trou dans mur neuf suite chute de souche d'érable


Photo prise de la route devant notre parcelle vers le sud
 
Photo prise de la route devant notre parcelle vers le sud
Notre parcelle vue de devant
Notre parcelle vue de devant
Un peu de bois à tronçonner (encore)
1
Un peu de bois à tronçonner (encore)
Vue de la parcelle vierge
 
Vue de la parcelle vierge
Un peu de bois à tronçonner
1
Un peu de bois à tronçonner
Le chemin d'acces en cours de realisation
Le chemin d'acces en cours de realisation
Terrain au moment ou nous avons du enlever tous les arbres
Terrain au moment ou nous avons du enlever tous les arbres
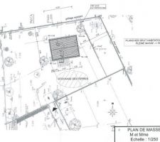
Nouveau Plan de Masse avec Garage
 
1
Nouveau Plan de Masse avec Garage
Vue de notre parcelle ce jour, la photo est prise en bout de terrain, autour ça prend forme
 
1
Vue de notre parcelle ce jour, la photo est prise en bout de terrain, ...
Terrain étoile
Terrain étoile
Tous les arbres ont disparus...cela fait de jolis steres de bois, de quoi se chauffer..
Tous les arbres ont disparus...cela fait de jolis steres de bois, ...
Parcelle vue du haut
Parcelle vue du haut
Vue du fond du terrain. Ca pousse chez les voisins.
Vue du fond du terrain. Ca pousse chez les voisins.
Arbres coupés.
1
Arbres coupés.
Terrain étoile
Terrain étoile
Un peu de rangement pour y voir plus clair
il reste encore un peu de travail
Un peu de rangement pour y voir plus clair il reste encore un peu ...
Le terrain original. Vue de la maison des voisins. Très près de la future clôture.
 
1
Le terrain original. Vue de la maison des voisins. Très près ...
Et voila le travail, tout est par terre...sauf quelques sapins au fond du terrain ainsi que les coniferes devant (que ne voit pas sur cette photo)
Et voila le travail, tout est par terre...sauf quelques sapins au ...
Début des travaux du lotissement
 
Début des travaux du lotissement
Implantation sur la parcelle
 
1
Implantation sur la parcelle
Terrain viabilisé avec logette
Terrain viabilisé avec logette
Souches à arracher dans le chemin d'accès
1
Souches à arracher dans le chemin d'accès
Permis d aménager
Permis d aménager
La jolie surprise, le terrain est enfin borné :)
La jolie surprise, le terrain est enfin borné :)
C'est l'heure d'attaquer la coupe des arbres...
C'est l'heure d'attaquer la coupe des arbres...
Terrain étoile
Terrain étoile
Bois fraîchement fendu
1
Bois fraîchement fendu
élagage arbres chemin d'accès
élagage arbres chemin d'accès
EMPLACEMENT VOIE NOUVELLE SUD
EMPLACEMENT VOIE NOUVELLE SUD
Le terrain lors de la premiere visite....
beaucoup d'arbres mais cela à son charme...
le soleil est en face l'apres midi...
Le terrain lors de la premiere visite.... beaucoup d'arbres mais cela ...
Terrain
Terrain
Terrain étoile
Terrain étoile
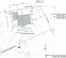
Plan de Masse
 
2
Plan de Masse
LE FUTUR EMPLACEMENT DE NOTRE QUARTIER
LE FUTUR EMPLACEMENT DE NOTRE QUARTIER
Début de l'élagage
1
Début de l'élagage
Terrain
Terrain
Terrain viabilisé
Terrain viabilisé
Terrain nettoyer et débroussailler
Terrain nettoyer et débroussailler
L'ombre avec les arbres...une seule solution : les couper !
L'ombre avec les arbres...une seule solution : les couper !
Terrain avec panneau de construction
Terrain avec panneau de construction
Implantation définitive..... bientôt le premier coup de pelle....
 
Implantation définitive..... bientôt le premier coup ...


Les photos terrain sont déposées et décrites par les membres eux mêmes, sans aucun contrôle de la part de ForumConstruire.com. De ce fait, il se peut que certaines photos soient mal détaillées, placées dans de mauvaises catégories, mal orientées, etc ...

Sur le même thème :

Devis géomètreArtisan
Devis géomètre
Demandez, en 5 minutes, 3 devis comparatifs aux professionnels de votre région. Gratuit et sans engagement.
20 conseils incontournables pour bien choisir son terrain
20 conseils incontournables pour bien choisir son terrain
Les guides vous aident à y voir plus clair sur la construction.
Forum terrainForum
Forum terrain
Dans le forum, posez vos questions, consultez celles des autres, entraidez-vous.
Annonces de terrains
Annonces de terrains
Découvrez les outils et services exclusifs de ForumConstruire.com
Vous aussi, participez ! Envoyez vos photos !

Sélectionnez une étape :

Voir