Retour
Menu utilisateur
Menu

Photos et idées Terrain

Trouvez des idées en parcourant les photos des autres !
Ordre d'affichage :
Bonjour 
Voici quelques photos du terrain ou ça avance à pas de fourmi aujourd hui il y avais personnes sur le terrain
2
Bonjour Voici quelques photos du terrain ou ça avance à ...
Les voiries
Les voiries
La terre à enlever...
 
La terre à enlever...
Bonjour 
Voici quelques photos du terrain ou ça avance à pas de fourmi aujourd hui il y avais personnes sur le terrain
2
Bonjour Voici quelques photos du terrain ou ça avance à ...
Mon cst...
Mon cst...
Acces chantier
1
Acces chantier
Notre chemin d'accès avant l'avoir fait :)
Notre chemin d'accès avant l'avoir fait :)
Ça y est la SAUR a terminé au tour de la SICAE ELY.
1
Ça y est la SAUR a terminé au tour de la SICAE ELY.
Les voiries
Les voiries
Viabilisé, travaux de terrassement effectués le matin même.
Viabilisé, travaux de terrassement effectués le matin ...
Vu depuis chez mes voisins...
Vu depuis chez mes voisins...
Visiblement le terrain n'est toujours pas accessible!
Visiblement le terrain n'est toujours pas accessible!
Bonjour 
Voici quelques photos du terrain ou ça avance à pas de fourmi aujourd hui il y avais personnes sur le terrain
3
Bonjour Voici quelques photos du terrain ou ça avance à ...
Les voiries
Les voiries
Local poubelle et muret pour retenir la terre le long de notre terrain
c'était la bonne nouvelle du moment :)
Local poubelle et muret pour retenir la terre le long de notre terrain c'était ...
Les arbres ont étés coupés (le sapin le sera aussi) et la clôture enlevée
 
Les arbres ont étés coupés (le sapin le sera ...
Les maisons prennent forme
Les maisons prennent forme
Tabouret d'assainissement et compteur d'eau en place.
Tabouret d'assainissement et compteur d'eau en place.
Terrain grillagé
Terrain grillagé
Découverte des coffrets ERDF-GDF , regard eux de pluie , tuyau eau , regard telecom
1
Découverte des coffrets ERDF-GDF , regard eux de pluie , tuyau ...
Vur panoramique du terrain
1
Vur panoramique du terrain
Le portail a été cassé pour permettre l'accès des camions
 
Le portail a été cassé pour permettre l'accès ...
La parcelle B c'est pour bibi, avis aux amateurs pour la parcelle A
La parcelle B c'est pour bibi, avis aux amateurs pour la parcelle A
La dalle est coulée
La dalle est coulée


Les voiries
Les voiries
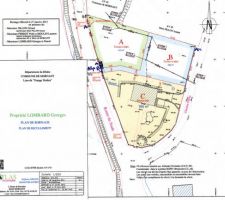
Plan de masse
Plan de masse
Bonjour 
Voici quelques photos du terrain ou ça avance à pas de fourmi aujourd hui il y avais personnes sur le terrain
1
Bonjour Voici quelques photos du terrain ou ça avance à ...
Viabilisation en cours
Viabilisation en cours
Evaluation de la superficie du terrain
Evaluation de la superficie du terrain
Accés au terrain
1
Accés au terrain
Les voiries
Les voiries
Tampon eau usée et tabouret pour notre futur raccordement
Tampon eau usée et tabouret pour notre futur raccordement
Notre chemin d'accès avant l'avoir fait :)
Notre chemin d'accès avant l'avoir fait :)
Reste a couler la dalle
Reste a couler la dalle
Délimitation du local poubelle
tavaux réalisés par le lotisseur
Délimitation du local poubelle tavaux réalisés ...
Bonjour 
Voici quelques photos du terrain ou ça avance à pas de fourmi aujourd hui il y avais personnes sur le terrain
1
Bonjour Voici quelques photos du terrain ou ça avance à ...
Mise en place des canalisations !!
Mise en place des canalisations !!
Viabilisation du terrain
1
Viabilisation du terrain
Les voiries
Les voiries
Travaux du lotisseur. viabilisation du lotissement en cours
Travaux du lotisseur. viabilisation du lotissement en cours
Le terrain avant les travaux de viabilisation
Le terrain avant les travaux de viabilisation
En ce très morose mois de juin, les travaux du lotissement ont redoublés !!! Ils sont actuellement en train de creuser les tranchés et installer les canalisations sous terre.
En ce très morose mois de juin, les travaux du lotissement ...
Il va falloir busée le fossé mais ce sera pour plus tard.
Il va falloir busée le fossé mais ce sera pour plus ...
C'est le terrai marqué "dispo". Les batiments à démolir le sont déjà.
4
C'est le terrai marqué "dispo". Les batiments à ...
Les niveaux...
Les niveaux...
Niche
Niche
Viabilisation du terrain
1
Viabilisation du terrain
Vu depuis le haut du terrain. Le propriétaire à bien fait les choses il a déjà clôturé du coté de sa maison
Vu depuis le haut du terrain. Le propriétaire à bien ...
Travaux du lotisseur. viabilisation du lotissement en cours
Travaux du lotisseur. viabilisation du lotissement en cours
Plan du Terrain : le sud se trouve vers le haut à gauche du terrain
Plan du Terrain : le sud se trouve vers le haut à gauche du ...
Terrain avec en prévision des arbres à faire tomber.
Terrain avec en prévision des arbres à faire tomber.
Premier désagrément: France Télécom ne s'entend pas avec la SAUR pour passer leur fourreau (le vert). A priori il faudra ré-ouvrir la route pour passer un fourreau vert. Heureusement la SAUR et la SICAE-ELY s'entendent eux!!!
Premier désagrément: France Télécom ne ...
Partie en angle du terrain
1
Partie en angle du terrain
Les voiries
Les voiries
Notre terrain tout nu ^^ ! mais sayé propriétaire
Notre terrain tout nu ^^ ! mais sayé propriétaire
Implantation finie
Implantation finie
Le magnifique saule pleureur qu'il va falloir abattre avant toute chose (et enlever la souche).
Le magnifique saule pleureur qu'il va falloir abattre avant toute ...
Vue aérienne d'Osmoy
 
1
Vue aérienne d'Osmoy
L'entrée du terrain. surélevée de 40 cm par rapport au chemin d'accès.
L'entrée du terrain. surélevée de 40 cm par rapport ...
Partie en angle du terrain
Partie en angle du terrain
Le terrain, vu du fond.
Le terrain, vu du fond.
Le plus dur : tenir le plan dans le bon sens...
Le plus dur : tenir le plan dans le bon sens...
Le plan du lot
1
Le plan du lot
Terrain avec en prévision des arbres à faire tomber.
Terrain avec en prévision des arbres à faire tomber.
Les fondations sont faites
Les fondations sont faites


Les photos terrain sont déposées et décrites par les membres eux mêmes, sans aucun contrôle de la part de ForumConstruire.com. De ce fait, il se peut que certaines photos soient mal détaillées, placées dans de mauvaises catégories, mal orientées, etc ...

Sur le même thème :

Devis construction de maisonArtisan
Devis construction de maison
Demandez, en 5 minutes, 3 devis comparatifs aux professionnels de votre région. Gratuit et sans engagement.
20 conseils incontournables pour bien choisir son terrain
20 conseils incontournables pour bien choisir son terrain
Les guides vous aident à y voir plus clair sur la construction.
Forum terrainForum
Forum terrain
Dans le forum, posez vos questions, consultez celles des autres, entraidez-vous.
Annonces de terrains
Annonces de terrains
Découvrez les outils et services exclusifs de ForumConstruire.com
Vous aussi, participez ! Envoyez vos photos !

Sélectionnez une étape :

Voir