Retour
Menu utilisateur
Menu

Photos et idées Terrain

Trouvez des idées en parcourant les photos des autres !
Ordre d'affichage :
Permis affiché sur notre terrain depuis le 2 décembre 2011
Permis affiché sur notre terrain depuis le 2 décembre ...
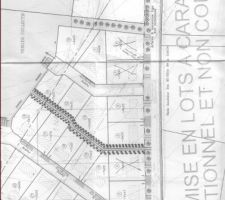
Lotissement des hauts novale
 
Lotissement des hauts novale
Ma poutre maitresse pour mon étage
Ma poutre maitresse pour mon étage
L'implantation sur le terrain
1
L'implantation sur le terrain
Terrain
Terrain
Notre terrain avec les trottois
Notre terrain avec les trottois
Nous somme dans la parcelle 9 du lotissement
Nous somme dans la parcelle 9 du lotissement
Les terrains sont bornés
 
Les terrains sont bornés
Aujourd'hui nous signons chez le notaire pour l'achat du terrain ! 
Nous venons voir avant s'il a bien été aplanit et s'il y a bien le bornage.
1
Aujourd'hui nous signons chez le notaire pour l'achat du terrain ! ...
Encore des arbres qui vont disparaitre
 
Encore des arbres qui vont disparaitre
Mur de soubassement
Mur de soubassement
Mur de soutènement
1
Mur de soutènement
Terrain après nettoyage
1
Terrain après nettoyage
Première implantation et relevé de niveau
 
1
Première implantation et relevé de niveau
Achat du terrain enfin clos
Achat du terrain enfin clos
Quel bazar sur notre terrain ... Des terres des cailloux et tout ce qu'il faut pour faire la voirie...?
 
Quel bazar sur notre terrain ... Des terres des cailloux et tout ce ...
Parcelle n5
 
Parcelle n5
Travaux de 1ère phase du lotissement.
Travaux de 1ère phase du lotissement.
Les terrains ont, depuis, été balisés.
1
Les terrains ont, depuis, été balisés.
Le bitum est enfin fait!!
 
Le bitum est enfin fait!!
Tt se qui touche l'electricite devant les terrains
Tt se qui touche l'electricite devant les terrains
Démolition bureau
Démolition bureau
Fondation
Fondation
Plan de masse de la maison.
  le terrain fait un peu plus de 2 000 m2
Plan de masse de la maison. le terrain fait un peu plus de 2 000 m2


Il s'agit du lot 38.
20,5 m de façade sur près de 46 m de long.
Il s'agit du lot 38. 20,5 m de façade sur près de 46 ...
Le photographe est à l'ouest, il regarde le Nord Est
 
Le photographe est à l'ouest, il regarde le Nord Est
J-1
J-1
Implantation maison
 
1
Implantation maison
Installation VRD
Installation VRD
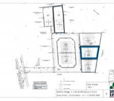
Plan de masse du lotissement
 
Plan de masse du lotissement
Des briques
Des briques
Voici le lieu choisi
Voici le lieu choisi
...
1
...
Terrain 002
Terrain 002
On y voit plus clair
On y voit plus clair
Plate-forme de la maison
1
Plate-forme de la maison
Bientot la fin!!
1
Bientot la fin!!
Compteur terrain
1
Compteur terrain
Mur cassé
Mur cassé
Le terrain début juillet après la première phase des travaux : le débroussaillage.
 
Le terrain début juillet après la première phase ...
Le chantier ne devrait plus tarder a debuter
2
Le chantier ne devrait plus tarder a debuter
Déblaiement4
1
Déblaiement4
Vue du terrain Est, Nord-Est
Vue du terrain Est, Nord-Est
BAT B
BAT B
Et il se termine a la moitie de cette image
Et il se termine a la moitie de cette image
Eau stagnante
 
1
Eau stagnante
Avant
Avant
Pose des coffrets élec et gaz
 
Pose des coffrets élec et gaz
Premiers raccordements
1
Premiers raccordements
Avancement du terrassement du lotissement
 
1
Avancement du terrassement du lotissement
Maison 40°
 
Maison 40°
Notre terrain !
 
1
Notre terrain !
La cour et la jardin
 
La cour et la jardin
Plan de niveau terrain
1
Plan de niveau terrain
Accès camions
 
Accès camions
Affichage de la division
 
Affichage de la division
Pose de parpaings pour le vide sanitaire de 60
Pose de parpaings pour le vide sanitaire de 60
Fouille profonde
 
Fouille profonde
Travaux lotisseur
 
Travaux lotisseur
Face Avant Terrain
 
Face Avant Terrain
Vue OUEST
 
1
Vue OUEST
Reprise des travaux
1
Reprise des travaux
PANO VUE OUEST
 
PANO VUE OUEST
Fondations
 
Fondations
Pendant l'été, nous avons débroussaillé le terrain (dont un épicéa d'une bonne quinzaine de mètres de haut que nous avons abattu). On voit bien maintenant la grange qui va être démolie, et sur le côté, l'étable que nous conservons et sur laquelle la maison va s'accoler
Pendant l'été, nous avons débroussaillé ...


Les photos terrain sont déposées et décrites par les membres eux mêmes, sans aucun contrôle de la part de ForumConstruire.com. De ce fait, il se peut que certaines photos soient mal détaillées, placées dans de mauvaises catégories, mal orientées, etc ...

Sur le même thème :

Devis géomètreArtisan
Devis géomètre
Demandez, en 5 minutes, 3 devis comparatifs aux professionnels de votre région. Gratuit et sans engagement.
Comment connaitre l'ensoleillement d'un terrain ?
Comment connaitre l'ensoleillement d'un terrain ?
Les guides vous aident à y voir plus clair sur la construction.
Forum terrainForum
Forum terrain
Dans le forum, posez vos questions, consultez celles des autres, entraidez-vous.
Annonces de terrains
Annonces de terrains
Découvrez les outils et services exclusifs de ForumConstruire.com
Vous aussi, participez ! Envoyez vos photos !

Sélectionnez une étape :

Voir