Retour
Menu utilisateur
Menu

Photos et idées Terrain

Trouvez des idées en parcourant les photos des autres !
Ordre d'affichage :
LE TERRAIN EST DONC DIVISE EN 2. 
LA PARTIE DE GAUCHE AVEC LES 600m² EST A NOUS. NOUS AVONS 2 ENTREES, UNE DONNANT SUR CHACUNE DES RUES. COMME CA , CHACUNE CHEZ SOI !
LE TERRAIN EST DONC DIVISE EN 2. LA PARTIE DE GAUCHE AVEC LES 600m² ...
Voirie du lotissement en cours
 
Voirie du lotissement en cours
Notre terrain en octobre 2016
Notre terrain en octobre 2016
Arrière de la maison lors de l'achat...
Arrière de la maison lors de l'achat...
Etat du terrain le 11/08/2016
Etat du terrain le 11/08/2016
Maison 50m² avec terrain de 2000m²
1
Maison 50m² avec terrain de 2000m²
Terrassement et premiers coups de pelleteuse
 
Terrassement et premiers coups de pelleteuse
Devant intitial
1
Devant intitial
Petit soucis sur le terrain, les lignes EDF et Orange.
Celles-ci sont trop basses et atterriront dans la charpente. Elles devront être déplacées par les deux entreprises, en espérant qu'elles ne tarderont pas...
Petit soucis sur le terrain, les lignes EDF et Orange. Celles-ci sont ...
Notre Terrain viabilisé Lot 4 avec EU/EP/EV et réseaux Elec, Ptt, Gaz raccordé sur lotissement voisin
1
Notre Terrain viabilisé Lot 4 avec EU/EP/EV et réseaux ...
Premier coup de pelle
 
Premier coup de pelle
1ère visite du terrain
1ère visite du terrain
Bonjour besoin de conseil je fait construire une maison de plein pied de 103m2 sur un terrain de 593m2.
Il se trouve en premier ligne,nous sommes à 5,6 mètres du bord de la route.
Il s'avère que le voisin construit un mur pour délimiter les deux propriétés et la surprise à été étonnant,il à creusé 160 metres sous la terre qui s'avère être des gros bloque de roche.
Ceux ci est t-il un problème pour la futur construction des fondations de la maison.
Pour les raccordements et le terrassement cela et t'il me obstacle?
Merci de vos conseil.
Bonjour besoin de conseil je fait construire une maison de plein pied ...
Voici une photo du terrain que nous avons trouvé !
 
1
Voici une photo du terrain que nous avons trouvé !
Pose des logettes
Pose des logettes
Compromis signé pour la parcelle 11
Compromis signé pour la parcelle 11
Mon chéri fière devant son terrain
Mon chéri fière devant son terrain
Travaux de viabilisation !
Travaux de viabilisation !
Terrain
 
Terrain
La partie droite dela terrasse s'appuira sur ce mur de cloture. la "boite" contient les tuyaux eau et gaz, donc on ne peut la supprimer.
1
La partie droite dela terrasse s'appuira sur ce mur de cloture. la ...
Notre terrain
Notre terrain
��a c le derri�¨re de ma maison la terre arrive presque au niveau des fen�ªtres ...
Et l'eau stagne ...
��a c le derri�¨re de ma ...
Legende plan du terrain
Legende plan du terrain
Plan cadastral avec placement approximatif de la maison
1
Plan cadastral avec placement approximatif de la maison


Photos du terrain avec les arbres que nous avons du couper.
Photos du terrain avec les arbres que nous avons du couper.
Terrain en long, à la limite du chemin en terre grosso modo jusqu'au végétations au fond.
Terrain en long, à la limite du chemin en terre grosso modo ...
Le village classé que l'on voit du bord de la parcelle
Le village classé que l'on voit du bord de la parcelle
Le lotissement de 14 terrains
Le lotissement de 14 terrains
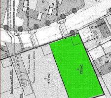
Plan du terrain 468 m2
1
Plan du terrain 468 m2
Les terassier on déja deposer leur pelle ça devrait commencer la semaine prochaine ?
Les terassier on déja deposer leur pelle ça devrait ...
Eaux de pluies et eaux usées.
Eaux de pluies et eaux usées.
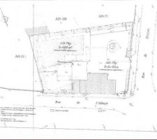
Plan de bornage du terrain
1
Plan de bornage du terrain
Vue sud-est
1
Vue sud-est
Un bout de terrain, je suis pas bon photographe :)
Un bout de terrain, je suis pas bon photographe :)
La façade du terrain ! Une si belle grange qu'on a dû pratiquement détruire...
La façade du terrain ! Une si belle grange qu'on a dû ...
Commencement de le viabilisation
2
Commencement de le viabilisation
Entretien talus
Entretien talus
Terrain 1188m2
1
Terrain 1188m2
Terrain convoité depuis plus d'un an
Terrain convoité depuis plus d'un an
Voici le point de depart... le terrain.  Nous avons attendu 20 mois avec de longues demarches de la part du vendeur puis de l ancien maçon et enfin des banques pour pouvoir enfin signer l acte authentique
Voici le point de depart... le terrain. Nous avons attendu 20 mois ...
Partie supérieure du terrain. je me suis permis de la flouter car le vendeur du terrain y est présent ;)
Partie supérieure du terrain. je me suis permis de la flouter ...
Un point de vue qui nous a fait craquer?
Un point de vue qui nous a fait craquer?
La petite maison à démolir
La petite maison à démolir
Bientôt la fin des travaux du lotissement !
 
1
Bientôt la fin des travaux du lotissement !
Terrain avant fauchage
1
Terrain avant fauchage
Rue du lotissement
Rue du lotissement
Voilà notre terrain. Y a plus qu' a ?
Voilà notre terrain. Y a plus qu' a ?
Terrain
Terrain
L'entrée de notre terrain
L'entrée de notre terrain
Photo vue de côté.
Un peu plus de 40m de long et comme vous le voyez, pas de voisin a gauche de notre terrain.
 
Photo vue de côté. Un peu plus de 40m de long et comme ...
Terrain lors de l'achat
Terrain lors de l'achat
Terrain débroussaillé
1
Terrain débroussaillé
Au début...
Au début...
Vue depuis le fond du jardin, vers la maison ancienne et la rue.
Vue depuis le fond du jardin, vers la maison ancienne et la rue.
Terrain avant viabilisation.
Terrain avant viabilisation.
Le terrain vierge pour le moment...
1
Le terrain vierge pour le moment...
Implantation prévue de la maison
1
Implantation prévue de la maison
Terrain avant travaux
Terrain avant travaux
Ici depuis L'Ouest au niveau de l'entrée garage...(futur garage)
Ici depuis L'Ouest au niveau de l'entrée garage...(futur garage)
Avant que ça commence...
Avant que ça commence...
Avec la construction du centre de loisirs du Verger (péniblement)
Avec la construction du centre de loisirs du Verger (péniblement)
Un article qui rassure
Un article qui rassure
Emplacement terrasse
1
Emplacement terrasse
Vu de plus près
Vu de plus près
Une fois la haie retirée et terrain nettoyé :)
Une fois la haie retirée et terrain nettoyé :)


Les photos terrain sont déposées et décrites par les membres eux mêmes, sans aucun contrôle de la part de ForumConstruire.com. De ce fait, il se peut que certaines photos soient mal détaillées, placées dans de mauvaises catégories, mal orientées, etc ...

Sur le même thème :

Devis géomètreArtisan
Devis géomètre
Demandez, en 5 minutes, 3 devis comparatifs aux professionnels de votre région. Gratuit et sans engagement.
Acheter un terrain à bâtir
Acheter un terrain à bâtir
Les guides vous aident à y voir plus clair sur la construction.
Forum terrainForum
Forum terrain
Dans le forum, posez vos questions, consultez celles des autres, entraidez-vous.
Annonces de terrains
Annonces de terrains
Découvrez les outils et services exclusifs de ForumConstruire.com
Vous aussi, participez ! Envoyez vos photos !

Sélectionnez une étape :

Voir